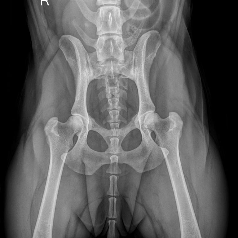
Digitales Röntgen
Unsere leistungsfähige Röntgenanlage ermöglicht die Anfertigung qualitativ hochwertiger Aufnahmen von der Katze bis zum Bernhardiner. Röntgenuntersuchungen sind vor allem bei orthopädischen Erkrankungen das Diagnostikum der Wahl, aber auch bei Herz- und Lungenerkrankungen, zur Darstellung von röntgendichten Fremdkörpern und zur Erkennung von Lungentumoren und -metastasen eignet sich die Röntgenuntersuchung hervorragend. Natürlich führen wir auch Zuchttauglichkeitsuntersuchung auf HD, ED und OCD durch.




